刚升级!福州台风预警!已有12级大风!
来源:福州新闻网
福州市气象台11时59分
将台风蓝色预警信号
升级为台风黄色预警信号
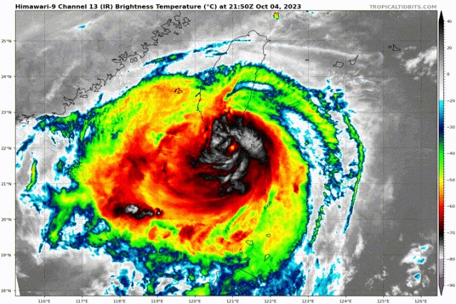
第14号台风“小犬”(13级,40米/秒,台风级)今天11 时中心位于台湾省鹅銮鼻西偏北方向约30公里的海面上,以每小时10~15公里的速度向偏西方向移动。受其影响,今天我市沿海东北风7~8级,阵风9~11级;高海拔山区东北风9~10级,阵风11~13级。请注意防范!
目前福州有
7条台风预警生效中

风的影响大于雨
今年第14号台风“小犬”(KOINU)

于5日08时20分前后
在台湾省屏东县鹅銮鼻登陆
并将以每小时10~15公里的速度
向西偏北方向移动
趋向广东东部近海
受“小犬”和冷空气共同影响
今天起福州开启
降温降雨大风模式
未来3天市区
高温仅在25℃~27℃
今天降雨较弱
以小雨为主
较明显降雨在6~8日
以中雨为主,局部降雨较强
需要注意的是,对于福州来说,风的影响大于雨的影响,未来3天风力较大,阵风可达10~13级,出海船只和滨海旅游等要注意避险。
目前福州长乐已出现12级大风

福建开启降温降雨大风模式
据福建省气象台预报员刘通易介绍
台风“小犬”具有
强度强、移速慢、
大风致灾风险高等特点

作为秋台风
“小犬”给我省带来风雨影响
尤其在风的方面较为突出
风力方面
预计今天沿海海区8~11级阵风11~13级;闽中、闽南渔场9~11级阵风12~14级;台湾浅滩渔场11~13级阵风14~16级。6日,沿海海区和闽中渔场8~10级阵风10~12级;闽南渔场9~10级阵风11~13级;台湾浅滩渔场11~13级阵风14~16级。7日,中南部沿海海区和闽中、闽南、台湾浅滩渔场8~9级阵风10级。
雨势方面
预计6~8日,南部沿海地区暴雨到大暴雨,过程累计雨量可达100~200毫米,局部达300毫米。
大家小心防范!
综合 福州气象、福建气象、中央气象台
标签:
59
帮助犹太人的辛德勒最后结局怎样?受到犹太人感谢了吗? 作为中国人,辛德勒这个名字是看过电影《辛德勒的名单》后才知道的。 辛德勒,全名为奥斯卡·辛德勒,德国商人,二战期...
60
79年对越自卫反击战的游击与决策 一、越南的侵略害造成了中国边区人民的死伤,在这种情况下,中国政府决定采取自卫还击。 1979年,中国与越南之间爆发了一场保卫边疆的自卫反击...
111
野球场风骚过人绝技,Shammgod运球组合,防守任你随便过 Shammgod动作华丽与实用兼具,利用快速回拉球的动作惯性,起到出其不意晃过对手重心的效果。 不仅如此,Shammgod还可以和很多...
57
养牛场设计图,太全了,记得收藏、转发! 以下是 养殖一家人 支持媒体——微信号:( xmsyw_yzyjr ),养牛场设计图,太全了,赶快收藏!朋友们可以参考一下: 一、设计依据 参照相...
76
五一假期!上海人广美食之旅 作为上海最知名的景点之一,人民广场的美食也是不容错过的‼️ ⭕国际饭店 蝴蝶酥 地址:黄河路28号 国际饭店的蝴蝶酥绝对是上海不可错过的美食之一...
68
惊叫来袭!容县都峤山玻璃吊桥升级7D玻璃特效,就怕你不敢上~ 再过10多天后 我们去都峤山白鹤云渡桥时 在玻璃吊桥上走着走着 就会发现 忽然玻璃“开裂了”!! ...... 这感觉,想想...
142
结婚红包吉利数字一览表 结婚红包吉利数字一览,份子钱给多少合适? 爱情最好的归宿就是结婚,于是当我们收到朋友结婚的时候除了要送上祝福以外,还要送上红包,这个时代,红包...
144
红色家书·叶天底:我决不愿跪着生,情愿立着死 叶天底(1898—1928) 叶天底,上虞人。1916年考入浙江省立第一师范学校,1920年加入上海社会主义青年团,是中国社会主义青年团的创...
53
河北省域河北工业大学居然在天津 第二轮“双一流”建设高校及建设学科名单公布,共有建设高校147所。而笔者从名单中发现,河北省没有一所大学在名单中。 笔者在这介绍一下“ 河...
81
广东两阳中学办校简史 广东两阳中学是一所百年老校,创建于1903年,至今已有100多年办学历史,是广东省最早的基础教育历史名校之一,也是阳江市知名的高中,与阳江一中并称为“...
135
黑旗军才是真正战士——外籍军团眼中的清末军队 此前有读者提到老是写鸦片战争似乎太没悬念,不如找一些知名度相对较低的题材,于是就有了这篇。 ▲1885年左右的黑旗军照片 18...
156
乘风破浪 勇创辉煌——记传奇莞商宏远之父陈林 莞商是当代粤商中崛起最快、活力最强、影响最大的群体之一,任何一部中国改革开放史都不可能忽略东莞的名字,任何一部东莞发展...
124
图说铜陵:早起的鸟儿有虫吃,迎圣诞也赶早 【1】力量举锦标赛,决出铜陵大力王 近日,铜陵市健美协会主办,小龙健身俱乐部协办的铜陵市第四届力量举锦标赛在万象购物公园举行...
81
1950年北京功德林战犯所,有5位国军高级将领被枪毙,他们都是谁 新中国成立后,功德林成为关押和改造战犯的一所监狱。这里收押的都是改造难度比较大、长期效忠蒋介石的战犯。...
142
“诗仙”和“诗圣”,有何同与不同?你更喜欢谁? 李白被誉为 “诗仙” ,杜甫被誉为 “诗圣” ,两人同为盛唐时期的诗人,并称为“李杜”。 两人有同,也有不同。 一、同在哪里...
190
七侠五义对战七杰小五义,哪一方能获胜? 七侠五义都是谁啊? 先说七侠 北侠:“紫髯伯”欧阳春; 南侠:“御猫”展昭展熊飞; 龙侠:“丁氏大侠”丁兆兰; 虎侠:“丁氏二侠”...
122
男人不可以穷 男人不可以穷 穷困之下的压力与挑战 在现代社会中,男人不可以穷,这个说法或许会引起一些争议,但不可否认的是,穷困给男人带来了诸多压力和挑战。对于男性来说...
86
花源村——群山深处的明珠 航拍高庙古镇 花源村位于洪雅县高庙镇中部,是一个坐落在群山深处的古村落。村子东临峨眉山、南倚瓦屋山、西连玉屏山、北望川西平原,山坡两侧为河...
140
戴笠:从破落地主家庭到特务头子的传奇人生 阅读此文前,诚邀您点击一下“关注”按钮,方便以后第一时间为您推送新的文章,同时也便于您进行讨论与分享~ 文|梦里不知身是客 编...
196
《白鹿原》中的田小娥水性杨花?恐怕我们都误会她了 《白鹿原》是中国当代文学史上的扛鼎之作。陈忠实用他的如椽巨笔,叙述了陕西关中几十年的沧桑巨变,白鹿原上的白鹿两家几...